The Swiss voice in the world since 1935
أهم الأخبار
النشرة الإخبارية
أهم الأخبار
نقاشات
أهم الأخبار
النشرة الإخبارية

إجلاء الآلاف في شمال الفيليبين قبل وصول إعصار عنيف

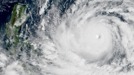
صورة التقطتها الأقمار الصناعية في 13 أيلول/سبتمبر 2018 عند الساعة الثانية بتوقيت غرينتش نظهر الإعصار مانغكوت متوجهاً نجو ساحل الفيليبين afp_tickers

بدأت الفيليبين إجلاء آلاف الأشخاص من المناطق الساحلية في شمال الأرخبيل تحسبا لوصول إعصار “مانغكوت” العنيف جداً السبت مع زوابع تبلغ سرعتها 255 كلم في الساعة.

وأشارت السلطات إلى أن عشرة ملايين من الفيليبينيين يعيشون في المناطق التي تقع على المسار المتوقع للعاصفة، التي تتقدم منذ الخميس في المحيط الهادئ.

وبدأ إجلاء آلاف الأشخاص من ساحل الطرف الشمالي من لوزون وهي الجزيرة الرئيسية في الفيليبين، حيث يُنتظر مرور الاعصار في الساعات الأولى السبت.

وصرّح المتحدث باسم الحكومة المحلية روغيليو سيندينغ لوكالة فرانس برس “تُجرى عمليات الإجلاء الوقائية في البلديات الساحلية، القرى المعرضة” للإعصار. وأضاف “سنقوم بالمزيد من الإجلاء”.

وأغلقت المدارس وتوجه مزارعون إلى الحقول لبدء حصاد الذرة والأرز خوفاً من الفيضانات.

وتضرب الأرخبيل كل سنة حوالى عشرين إعصارا تسفر عن مقتل المئات وتساهم في زيادة معدلات الفقر لدى ملايين الأشخاص.

وأشارت مصلحة الأرصاد الجوية في الفيليبين إلى أن مانغكوت هو في هذه المرحلة العاصفة الاستوائية الأعنف لهذا العام.

وفي تشرين الثاني/نوفمبر 2013، ضرب “هايان”، أحد الأعاصير الأعنف في التاريخ، جزر وسط الأرخبيل برياح تجاوزت سرعتها 315 كلم في الساعة. وأدى إلى تشكل مد بحري شبيه بتسونامي دمّر كل ما في طريقه وخلف أكثر من 7500 قتيل ومفقود ودمر أكثر من أربعة ملايين منزل.

قراءة معمّقة

الأكثر مناقشة

SWI swissinfo.ch - إحدى الوحدات التابعة لهيئة الاذاعة والتلفزيون السويسرية

SWI swissinfo.ch - إحدى الوحدات التابعة لهيئة الاذاعة والتلفزيون السويسرية