 
スイスにもあった「ストーンヘンジ」
 
英国本家のストーンヘンジ同様、謎めいた巨石遺跡がスイス西部にある。ヌーシャテル湖南岸の「クロンディの巨石列」だ。石器時代から存在するこの遺跡は私たちをはるか彼方の時代へと誘う。
この記事はスイス国立博物館のブログ外部リンクに2025年1月21日に掲載されたものです。
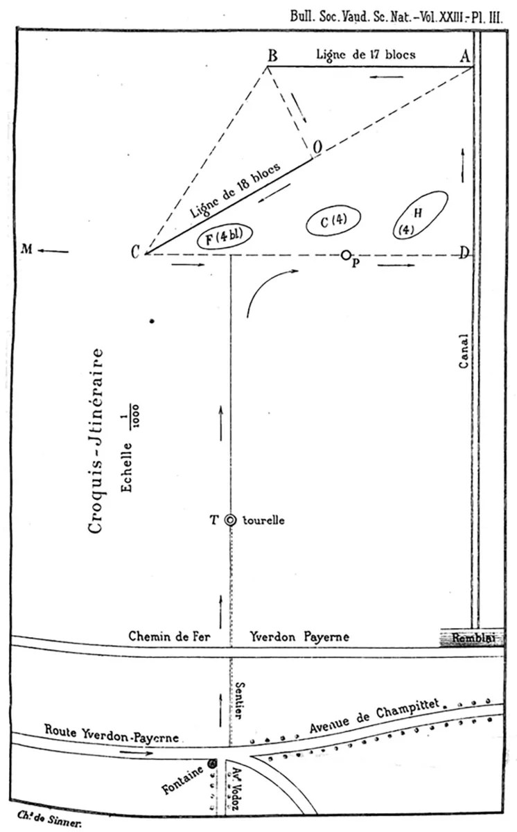
「クロンディの巨石列(alignements de Clendy)」は、スイス西部のヌーシャテル湖南岸、歴史的な町イヴェルドンに入る道路標識のすぐ手前の道路から数メートル離れたところにある。計45個の石塊が並ぶ印象的な遺跡だ。
1868~91年に湿地帯を乾燥化させる第一次開発事業がジュラ地域で行われ、湖面が約3メートル下がった際、湿地帯に謎の巨石が出現した。発見者の技術士シャルル・ド・シナーは1887年にこう記している。「湖岸の小階段(通常は湖水浴に使用されるもの)の下に小さな結晶質の塊が3つ、そして約100メートル先に大きめの塊から成る最初の主要群が見つかる」
 
シナーはこれらが通常の発見物とは違うことにすぐに気づいた。「石の高さはほとんどが1~3メートル、厚さは80~150センチメートルだが、中には高さ4メートルを超えるものもある。(中略)地中に深く埋まっている岩がある一方、単に置かれたような岩もある。この事実に加え、地形が平坦であり、岩が軍隊のように2列に整列していることから、私は当初からこれは人が作ったものだと推測した」
だが、この巨石群の存在は再び静かに忘れ去られた。新たに脚光を浴びたのは発見から約100年後のこと。1975年の発掘調査でくさび石と共に遺構全体が見つかったのだ。巨石群は本来、この遺構の中に立っていたとされる。81年に大々的に再調査が行われ、正確な地図が作成されたほか、最小の岩は盗難防止のためコンクリート製の複製に置き換えられた。原物は現在、イヴェルドンの博物館に保管されている。
 
そして驚くべき研究結果が発表された。最大5トンもの巨石の多くに人の特徴が確認されたのだ。1つの岩は頭を、2つの削られた石は肩を表すなど、巨石は単なる岩でなく像だった。ただ、それらが神、先祖、支配者または英雄の像かどうかは今も分かっていない。ブルターニュ地方の巨石と様式を比較した結果、クランディの巨石列は紀元前4500~4千年前のものとみられる。遺構は青銅器時代(紀元前2300~850年)まで使われ、継続的に拡大していったと推測される。
考古学では解決の手がかりが見つからない場合、答えを「神聖なもの」に見い出すことがよくある。クロンディの巨石列に神聖な役割があった可能性は大いに考えられるし、先史時代の暦だった可能性もぬぐい切れない。この巨石列を調べるうえで特に大切なのが巨石の正確な位置と向きだが、ここである問題が起きた。1986年、地元の建設会社が学術目的ではなく景観のために巨石の位置を動かしてしまったのだ。幸い、以前の調査で正確なデータが残されていたため、遺構を正しい位置で復元できた。
 
先史時代の文化の多くには、月が当時の人々にとって宗教的な意味が大きかったことを示す手がかりが残っている。ただ、月は空では不規則な存在だ。地球が太陽の周りを1周する軌道面に対して、月が地球の周りを1周する軌道面(白道面)は5度傾いている。そのため月の出入りの地点は毎年前後する。
そして月の軌道も高低が変化する。白道面は宇宙空間でわずかに回転し、軌道の角度は18.6年周期で最大に、9.3年周期で最小になる。月の出入りが最も北寄り(最北)または最も南寄り(最南)になる状態は「月の停滞」と呼ばれる。
 
天文学研究の結果、クロンディの巨石列は222度および246度で並び、いわば観測者と天体とを結ぶ自然な直線を作っていることが分かった。これは6000年前の当時、18.6年周期で見られた月の入りの最南2点(地球と月の傾きが最大になる場合と最小になる場合のそれぞれの最南)を正確に示している。遺構の最北東にある2つの石列が交差する位置に立ち、月が沈む際に巨石のてっぺんを見上げれば、月がどちらの最南を迎えたのかが把握できたというわけだ。月の停滞は先史時代の暦では重要な出来事だった。イングランド南部エイムズベリー近郊のストーンヘンジでも、遺構の外側にある4つの石「ステーションストーン」は月の停滞の方角に向けられていると研究者たちは推測する。
はたしてイヴェルドン近郊の巨石列は神殿だったのだろうか?それとも先史時代の天文台か、その両方?答えは謎に包まれたままだが、クロンディの巨石列で月が沈む様子を見ると、天文学が始まったころの遠い昔に心が誘われることは間違いない。
編集:Thomas Weibel、独語からの翻訳:鹿島田芙美、校正:宇田薫
トマス・ヴァイベル(Thomas Weibel)はジャーナリストであり、グラウビュンデン応用科学大学およびベルン芸術大学のメディア工学教授。
 
        JTI基準に準拠
 
 
 
 
 
 
 
 
 
 
 
 
 
 
 
 
 
 
 
 
 
 
 
    
swissinfo.chの記者との意見交換は、こちらからアクセスしてください。
他のトピックを議論したい、あるいは記事の誤記に関しては、japanese@swissinfo.ch までご連絡ください。